Exhibit 10.27

CONSENT TO SUBLEASE

This CONSENT TO SUBLEASE (this “Consent”) is entered into as of this 14th day of January, 2013, by and between BMR-BAYSHORE BOULEVARD LP, a Delaware limited partnership (“Landlord”), as successor in interest to BMR-Bayshore Boulevard LLC, XDX, INC., a Delaware corporation (“Tenant”), and ATARA BIOTHERAPEUTICS, INC., a Delaware corporation (“Subtenant”).

RECITALS

A. WHEREAS, Landlord and Tenant are parties to that certain Lease dated as of April 27, 2006 (as the same may have been amended, amended and restated, supplemented or otherwise modified from time to time, the “Master Lease”), whereby Tenant leases certain premises (the “Premises”) from Landlord at 3260 Bayshore Boulevard, Brisbane, California (the “Building”); and

B. WHEREAS, Tenant has applied to Landlord for its consent to that certain Sublease Agreement dated as of January 10, 2013 (the “Sublease”), by and between Tenant and Subtenant, whereby Tenant subleases its interest in a portion of the Premises (such portion, the “Subleased Premises”) to Subtenant.

AGREEMENT

NOW, THEREFORE, Landlord hereby consents to the Sublease, subject to and upon the following terms and conditions, to each of which Tenant, Subtenant and Landlord expressly agree:

1. Nothing contained in this Consent shall either:

(a) operate as a consent to or approval by Landlord of any of the provisions of the Sublease or as a representation or warranty by Landlord, and Landlord shall not be bound or estopped in any way by the provisions of the Sublease; or

(b) be construed to modify, waive or affect any of the provisions, covenants or conditions of, or any rights or remedies of Landlord under, the Master Lease. In the case of any conflict between the provisions of this Consent and those of the Sublease, the provisions of this Consent shall prevail.

2. Tenant expressly assumes and agrees that during the term of the Sublease, Tenant shall perform and comply with each and every obligation of Tenant under the Master Lease. Subtenant expressly assumes and agrees that during the term of the Sublease, Subtenant shall perform and comply with each and every obligation of Tenant under the Master Lease related to the Subleased Premises to the extent Subtenant is required to perform or comply with such obligations pursuant to the Sublease. The terms of this Section shall be subject to the terms of Section 6 below.


3. Neither the Sublease nor this Consent shall release or discharge Tenant from any liability under the Master Lease, and Tenant shall remain liable and responsible for the full performance of all of the provisions, covenants and conditions set forth in the Master Lease. The acceptance of rent by Landlord from Subtenant or from any other person shall not be deemed a waiver by Landlord of any provisions of the Master Lease. Tenant and Subtenant understand and represent that by entering into the Sublease, Landlord’s rights, remedies and liabilities under the Master Lease have not in any way been modified.

4. Tenant and Subtenant warrant that the attached Sublease represents the entire agreement between them. Subtenant further warrants that there was no compensation or consideration paid to either party as a condition of this Consent or the Sublease other than as stated herein or therein.

5. The Sublease shall be subject and subordinate at all times to the Master Lease and all of its provisions, covenants and conditions. In case of a conflict, the provisions of the Master Lease shall prevail.

6. This Consent shall not constitute consent to any subsequent subletting or assignment of the Master Lease, the Sublease or the Premises. This Consent may not be assigned by Tenant or Subtenant in whole or in part. Any amendment or modification to the Sublease or the Subleased Premises (including, without limitation, expanding the Subleased Premises) shall require prior written consent from Landlord, which consent shall be governed by the applicable provisions of the Master Lease.

7. Tenant shall protect, defend, indemnify, release, save and hold Landlord and each of Landlord’s officers, directors, affiliates, employees, agents, consultants and lenders (each, an “Indemnified Party”) harmless from and against any and all Losses (as defined below) imposed upon or incurred by or asserted against an Indemnified Party directly or indirectly arising out of or in any way relating to Subtenant’s failure to perform or comply with any of Tenant’s or Subtenant’s obligations under the Sublease or this Consent. As used herein, the term “Losses” includes any and all demands, claims, liabilities, losses, costs, expenses, actions, causes of action, damages, diminutions in value, fines, penalties, charges, fees, expenses, judgments, awards, amounts paid in settlement, punitive damages and foreseeable and unforeseeable consequential damages of whatever kind or nature, suits or judgments, and all reasonable expenses (including reasonable attorneys’ fees, charges and disbursements, regardless of whether the applicable demand, claim, action, cause of action or suit is voluntarily withdrawn or dismissed) incurred in investigating or resisting the same. Subtenant shall protect, defend, indemnify, release, save and hold the Indemnified Parties harmless from and against any and all Losses imposed upon or incurred by or asserted against an Indemnified Party to the extent arising from a breach of Subtenant’s obligations under the Sublease or this Consent.

8. In the event of any default by Subtenant under the Master Lease, Landlord may proceed directly against any or all of Tenant, Subtenant, any guarantors or anyone else to the extent liable with respect to such default under the Master Lease without first exhausting Landlord’s remedies against any other person or entity liable therefor to Landlord.

 

2


9. In the event that Tenant defaults in its obligations under the Master Lease or in the event that the Master Lease is otherwise terminated prior to its natural expiration, Landlord may, at its option and without being obligated to do so, require Subtenant to attorn to Landlord with respect to the Subleased Premises. Upon Landlord’s notice to Subtenant, (a) Subtenant shall thereafter make all payments otherwise due Tenant directly to Landlord, which payments shall be received by Landlord without any liability being incurred by Landlord (and without any liability on account of such payment being incurred by Tenant), except to credit such payment against amounts due by Tenant under the Lease and (b) within ten (10) days after such notice, Tenant or Subtenant shall deposit with Landlord the entire Security Deposit (as defined in the Sublease), and replenish such Security Deposit from time to time, as necessary to maintain the amount required under the Sublease. If Landlord elects to require Subtenant to so attorn, then Landlord shall undertake the obligations of Tenant under the Sublease with respect to the Subleased Premises from the time of the exercise of Landlord’s option under this Section until termination of the Sublease; provided, however, that Landlord shall not be liable for any prepaid rents or any security deposit paid by Subtenant to Tenant (except to the extent such security deposit is actually received by Landlord from Tenant), nor, for the time period preceding such attornment, shall Landlord be liable for any other defaults of Tenant under the Sublease.

10. If any party hereto commences a demand, claim, action, cause of action or suit against another party(ies) arising out of or in connection with this Lease, then the substantially prevailing party(ies) shall be reimbursed by the other party(ies) for all reasonable costs and expenses, including reasonable attorneys’ fees and expenses, incurred by the substantially prevailing party(ies) in such action or proceeding and in any appeal in connection therewith (regardless of whether the applicable demand, claim, action, cause of action or suit is voluntarily withdrawn or dismissed).

11. This Consent (a) shall be construed in accordance with the laws of the State of California, without regard to its conflict of law principles, (b) contains the entire agreement of the parties hereto with respect to the subject matter hereof and (c) may not be changed or terminated orally or by any course of conduct.

12. Tenant represents and warrants that it has dealt with no broker, agent or other person in connection with this transaction and that no broker, agent or other person brought about this transaction, other than Cooper/Brady Partnership d/b/a CresaPartners (with an address of 5550 South Winchester Boulevard, San Jose, California), and Tenant agrees to indemnify and hold Landlord and Subtenant harmless from and against any claims by this or any other broker, agent or other person claiming a commission or other form of compensation by virtue of having dealt with Tenant with regard to the Sublease. The provisions of this Section shall survive the expiration or earlier termination of this Consent or the Master Lease.

13. If any terms or provisions of the Master Lease or this Consent, or the application thereof to any person or circumstance, shall to any extent be held to be invalid or unenforceable, then the remainder of the Master Lease, this Consent or the application of such term or provision to persons or circumstances other than those as to which they are held invalid or unenforceable shall not be affected thereby, and each term and provision of the Master Lease and this Consent shall be valid and enforceable to the fullest extent permitted by law. Landlord’s rights and remedies provided for in the Master Lease, this Consent or by law shall, to the extent permitted by law, be cumulative.

 

3


14. This Consent may be executed in one or more counterparts, each of which, when taken together, shall constitute one and the same document.

[REMAINDER OF THIS PAGE INTENTIONALLY LEFT BLANK]

 

4


IN WITNESS WHEREOF, Tenant and Subtenant have affixed their respective signatures hereto as evidence of understanding of and agreement to the above, and Landlord has affixed its signature hereto to convey its consent to the Sublease.

 

LANDLORD:

BMR-BAYSHORE BOULEVARD LP,

a Delaware limited partnership

By:  

/s/ Jonathan P. Klassen

Name:  

Jonathan P. Klassen

Title:  

Vice President, General Counsel

TENANT:

XDX, INC.,

a Delaware corporation

By:  

/s/ Peter Maag

Name:  

Peter Maag

Title:  

CEO

SUBTENANT:

ATARA BIOTHERAPEUTICS, INC.,

a Delaware corporation

By:  

/s/ Isaac Ciechanover

Name:  

Isaac Ciechanover

Title:  

CEO

 

5


FIRST AMENDMENT TO LEASE

THIS FIRST AMENDMENT TO LEASE (this “Amendment”) is entered into as of this 10th day of November, 2010 (the “Execution Date”), by and between BMR-BAYSHORE BOULEVARD LLC, a Delaware limited liability company (“Landlord”), and XDX, INC., a Delaware corporation, (formerly known as Expression Diagnostics, Inc.) (“Tenant”).

RECITALS

A. WHEREAS, Landlord and Tenant entered into that certain Lease dated as of April 27, 2006, as amended by this Amendment, and as the same may have been otherwise amended, supplemented or modified from time to time, the “Lease”), whereby Tenant leases certain premises (the “Premises”) from Landlord at 3260 Bayshore Boulevard in Brisbane, California (the “Building”);

B. WHEREAS, Landlord and Tenant desire to extend the Term of the Lease; and

C. WHEREAS, Landlord and Tenant desire to amend the Basic Annual Rent; and

D. WHEREAS, Landlord and Tenant desire to agree upon certain terms in the event the Additional Premises (as defined below) is delivered to Tenant; and

E. WHEREAS, Landlord and Tenant desire to modify and amend the Lease only in the respects and on the conditions hereinafter stated.

AGREEMENT

NOW, THEREFORE, Landlord and Tenant, in consideration of the mutual promises contained herein and for other good and valuable consideration, the receipt and sufficiency of which are hereby acknowledged, and intending to be legally bound, agree as follows:

1. Definitions. For purposes of this Amendment, capitalized terms shall have the meanings ascribed to them in the Lease unless otherwise defined herein.

2. Term Extension. The term of the Lease shall be extended for 86 months (the “Extension Term”), ending on December 31, 2020. The definition of “Term Expiration Date” as set forth in Section 4.2 of the Lease shall be deleted in its entirety and shall be replaced with December 31, 2020.

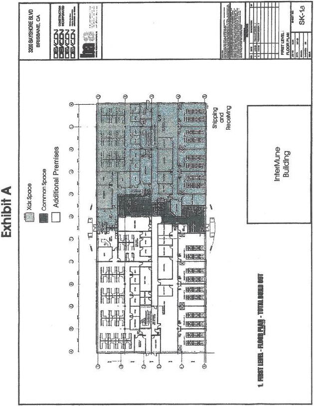
3. Additional Premises. Landlord shall use commercially reasonable efforts to expand the Premises to include an additional fifteen thousand four hundred ten (15,410) square feet of Rentable Area located on the first (1st) floor, as shown on Exhibit A attached hereto (the “Additional Premises”) on July 1, 2012 (the “Additional Premises Delivery Date”). In the event Landlord determines the Additional Premises will be ready for delivery to Tenant in the Required Condition on the Additional Premises Delivery Date, within ten (10) business days prior to the Additional Premises Delivery Date, Landlord and Tenant shall enter into a written amendment to the Lease, which amendment shall provide, unless otherwise agreed in writing, (a) that the commencement date of the Additional Premises shall be the Additional Premises


Delivery Date (the “Additional Premises Commencement Date”), (b) that, as of the Additional Premises Commencement Date, the Premises under the Lease shall be increased to include the Additional Premises for a total of sixty-one thousand four hundred forty-four (61,444) square feet of Rentable Area (together, the Premises and the Additional Premises shall be referred to hereinafter as the “Total Premises”), (c) the new Basic Annual Rent applicable to the Total Premises, which shall commence on the Additional Premises Commencement Date and shall be as further described in Section 4.2 of this Amendment, (d) Tenant’s new Pro Rata Share of Operating Expenses as of the Additional Premises Commencement Date, which Pro Rata Share shall equal one hundred percent (100%) of the Building and thirty-three and 51/100 percent (33.51%) of the Project and (e) that, in addition to the parking which Tenant is entitled to under the terms of the Lease with respect to the original Premises, Tenant, for so long as Tenant leases the Additional Premises, shall have a non-exclusive license to use the parking facilities serving the Building in common on an unreserved basis with other tenants of the Building and the Project at a ratio of 3.3 parking spaces per 1,000 rentable square feet of Additional Premises, which amounts to fifty-one (51) additional parking spaces, which number shall include three (3) additional Reserved Spaces. In the event the Additional Premises is not ready for delivery to Tenant in the Required Condition on the Additional Premises Delivery Date, then (x) this Amendment and the Lease shall not be void or voidable, (y) Landlord shall not be liable to Tenant for any loss or damage resulting therefrom and (z) the new Basic Annual Rent applicable to the Premises shall be as further described in Section 4.3 of this Amendment.

4. Basic Annual Rent.

4.1 From January 1, 2011 through June 30, 2012, the Basic Annual Rent for the Premises shall be One Dollar and 75/100 ($1.75) per rentable square foot per month on a triple net basis.

4.2 In the event Landlord delivers the Additional Premises in the Required Condition on the Additional Premises Delivery Date, the Basic Annual Rent set forth in the table below shall apply to the Total Premises throughout the remainder of the initial Term and the Extension Term.

 

Months

   Lease Rate/Per Month  

July 1, 2012 - December 31, 2013

   $ 1.85 NNN   

January 1, 2014 - December 31, 2014

   $ 2.15 NNN   

January 1, 2015 - December 31, 2015

   $ 2.25 NNN   

January 1, 2016 - December 31, 2016

   $ 2.35 NNN   

January 1, 2017 - December 31, 2017

   $ 2.45 NNN   

January 1, 2018 - December 31, 2018

   $ 2.50 NNN   

January 1, 2019 - December 31, 2019

   $ 2.55 NNN   

January 1, 2020 - December 31, 2020

   $ 2.57 NNN   

4.3 In the event Landlord does not deliver the Additional Premises in the Required Condition on the Additional Premises Delivery Date, the Basic Annual Rent set forth in the table below shall apply to the Premises throughout the remainder of the initial Term and the Extension Term.

 

2.


Months

   Lease Rate/Per Month  

July 1, 2012 - December 31, 2013

   $ 1.85 NNN   

January 1, 2014 - December 31, 2014

   $ 2.05 NNN   

January 1, 2015 - December 31, 2015

   $ 2.15 NNN   

January 1, 2016 - December 31, 2016

   $ 2.25 NNN   

January 1, 2017 - December 31, 2017

   $ 2.35 NNN   

January 1, 2018 - December 31, 2018

   $ 2.40 NNN   

January 1, 2019 - December 31, 2019

   $ 2.45 NNN   

January 1, 2020 - December 31, 2020

   $ 2.50 NNN   

5. Security Deposit. Upon the full execution and delivery of this Amendment, Tenant may reduce the amount of the Letter of Credit to Ninety Thousand Dollars ($90,000).

6. Condition of Premises. Tenant acknowledges that (a) it is in possession of and is fully familiar with the condition of the Premises and, notwithstanding anything contained in the Lease to the contrary, agrees to take the same in its condition “as is” as of the first day of the Extension Term, and (b) Landlord shall have no obligation to alter, repair or otherwise prepare the Premises for Tenant’s continued occupancy for the Extension Term or to pay for any improvements to the Premises, except as may be expressly provided in the Lease. In the event Landlord delivers the Additional Premises, Landlord agrees that the existing laboratory casework (as shown on Exhibit A attached hereto), flooring, ceiling, HVAC and other Building systems serving the Additional Premises shall be in good working order and the Additional Premises shall be vacant, in broom clean condition, and, to Landlord’s knowledge, the Additional Premises shall be decommissioned pursuant to and otherwise in compliance with Applicable Laws (the “Required Condition”). Tenant’s acceptance of the Additional Premises shall be conclusive proof that the Additional Premises was delivered in the Required Condition.

7. Right of First Refusal. In the event the Additional Premises is not delivered to Tenant by the Additional Premises Delivery Date, for so long as Tenant still leases and occupies the entire Premises, Tenant shall have a right of first refusal (“ROFR”) as to any rentable premises in the Building for which Landlord is seeking a tenant (“Available ROFR Premises”); provided, however, that in no event shall Landlord be required to lease any Available ROFR Premises to Tenant for any period past the date on which this Lease expires or is terminated pursuant to its terms. In the event Landlord intends to lease Available ROFR Premises, Landlord shall provide written notice thereof to Tenant (the “Notice of Offer”), specifying the terms and conditions of a proposed lease to Tenant of the Available ROFR Premises.

7.1 Within ten (10) days following its receipt of a Notice of Offer, Tenant shall advise Landlord in writing whether Tenant elects to lease all (not just a portion) of the Available ROFR Premises on the terms and conditions set forth in the Notice of Offer. If Tenant fails to notify Landlord of Tenant’s election within said ten (10) day period, then Tenant shall be deemed to have elected not to lease the Available ROFR Premises.

7.2 If Tenant timely notifies Landlord that Tenant elects to lease the Available ROFR Premises on the terms and conditions set forth in the Notice of Offer, then Landlord shall lease the Available ROFR Premises to Tenant upon the terms and conditions set forth in the Notice of Offer.

 

3.


7.3 If Tenant notifies Landlord that Tenant elects not to lease the Available ROFR Premises on the terms and conditions set forth in the Notice of Offer, or if Tenant fails to notify Landlord of Tenant’s election within the ten (10)-day period described above, then Landlord shall have the right to consummate the lease of the Available ROFR Premises on the same terms as set forth in the Notice of Offer following Tenant’s election (or deemed election) not to lease the Available ROFR Premises.

7.4 Notwithstanding anything in this Article to the contrary, Tenant shall not exercise the ROFR during such period of time that Tenant is in default under any provision of this Lease. Any attempted exercise of the ROFR during a period of time in which Tenant is so in default shall be void and of no effect. In addition, Tenant shall not be entitled to exercise the ROFR if Landlord has given Tenant two (2) or more notices of default under this Lease, whether or not the defaults are cured, during the twelve (12) month period prior to the date on which Tenant seeks to exercise the ROFR.

7.5 Notwithstanding anything in this Lease to the contrary, Tenant shall not assign or transfer the ROFR, either separately or in conjunction with an assignment or transfer of Tenant’s interest in the Lease, without Landlord’s prior written consent, which consent Landlord may withhold in its sole and absolute discretion; provided, however, that Landlord’s consent shall not be required for Tenant’s assignment of the ROFR in connection with an Allowable Transfer.

7.6 If Tenant exercises the ROFR, Landlord does not guarantee that the Available ROFR Premises will be available on the anticipated commencement date for the Lease as to such Premises due to a holdover by the then-existing occupants of the Available ROFR Premises or for any other reason beyond Landlord’s reasonable control.

8. Termination Right. The termination right set forth in Section 3.3 of the Lease shall be deleted in its entirety and shall have no further force or effect.

9. No encumbrances. As of the Execution Date, the Property is not encumbered by any deed of trust or mortgage or subject to any ground lease. Notwithstanding the foregoing, this Section 9 shall not prevent Landlord from encumbering or ground leasing the Property at any time in the future.

10. Broker. Tenant represents and warrants that it has not dealt with any broker or agent in the negotiation for or the obtaining of this Amendment, other than CresaPartners (“Broker”), and agrees to indemnify, defend and hold Landlord harmless from any and all cost or liability for compensation claimed by any such broker or agent, other than Broker, employed or engaged by it or claiming to have been employed or engaged by it. Broker is entitled to a leasing commission in connection with the making of this Amendment, and Landlord shall pay such commission to Broker pursuant to a separate agreement between Landlord and Broker.

11. No Default. Tenant represents, warrants and covenants that, to the best of Tenant’s knowledge, Tenant is not in default of any of its respective obligations under the Lease and no event has occurred that, with the passage of time or the giving of notice (or both) would constitute a default by Tenant thereunder. Landlord represents, warrants and covenants that, to the best of Landlord’s knowledge, Landlord is not in default of any of its respective obligations under the Lease and no event has occurred that, with the passage of time or the giving of notice (or both) would constitute a default by or Landlord thereunder.

 

4.


12. Effect of Amendment. Except as modified by this Amendment, the Lease and all the covenants, agreements, terms, provisions and conditions thereof shall remain in full force and effect and are hereby ratified and affirmed. The covenants, agreements, terms, provisions and conditions contained in this Amendment shall bind and inure to the benefit of the parties hereto and their respective successors and, except as otherwise provided in the Lease, their respective assigns. In the event of any conflict between the terms contained in this Amendment and the Lease, the terms herein contained shall supersede and control the obligations and liabilities of the parties. From and after the date hereof, the term “Lease” as used in the Lease shall mean the Lease, as modified by this Amendment.

13. Miscellaneous. This Amendment becomes effective only upon execution and delivery hereof by Landlord and Tenant. The captions of the paragraphs and subparagraphs in this Amendment are inserted and included solely for convenience and shall not be considered or given any effect in construing the provisions hereof. All exhibits hereto are incorporated herein by reference.

14. Counterparts. This Amendment may be executed in one or more counterparts, each of which, when taken together, shall constitute one and the same document.

[REMAINDER OF THIS PAGE INTENTIONALLY LEFT BLANK]

 

5.


IN WITNESS WHEREOF, Landlord and Tenant have hereunto set their hands as of the date and year first above written, and acknowledge that they possess the requisite authority to enter into this transaction and to execute this Amendment.

 

LANDLORD:

BMR-BAYSHORE BOULEVARD LLC,

a Delaware limited liability company

By:

 

/s/ Greg Lubushkin

Name:

 

Greg Lubushkin

Title:

 

Chief Financial Officer

TENANT:

XDX, INC.,

a Delaware corporation

By:

 

/s/ Jean Viret

Name:

 

Jean Viret

Title:

 

Chief Financial Officer


EXHIBIT A

ADDITIONAL PREMISES


 

LOGO